This event has expired.
Landslide
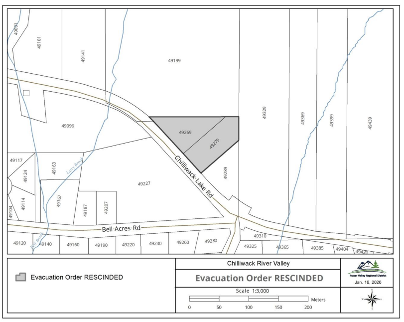
Evacuation Order RESCINDED for 2 properties on Chilliwack Lake Road
Updated on
Current situation
The Fraser Valley Regional District has rescinded an Evacuation Order issued for two properties in Electoral Area E (49269 and 49279 Chilliwack Lake Road) due to landslide risk.
Understanding emergency events
Evacuation stages

Evacuation Alert
Be ready to leave on short notice.

Evacuation Order
You are at risk. Leave the area immediately.

Evacuation Rescind
All is currently safe and you can return home.
